Widmung – Mühlenweg
Die innerhalb der Ortslage von Hambuch befindliche Gemeindestraße Flur 10 Nr. 91/2 (Mühlenweg) wird dem öffentlichen Straßenverkehr gewidmet.


Die innerhalb der Ortslage von Hambuch befindliche Gemeindestraße Flur 10 Nr. 91/2 (Mühlenweg) wird dem öffentlichen Straßenverkehr gewidmet.
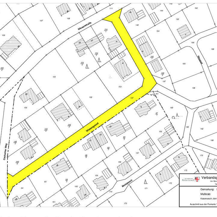
Die innerhalb der Ortslage von Hambuch befindliche Gemeindestraße Flur 10 Nr. 157 (Wiesengrund) wird dem öffentlichen Straßenverkehr gewidmet.
Der Ortsgemeinderat Hambuch trifft sich am 15.12.2020 zur 15. Ortsgemeinderatssitzung in der Probstei.
Der Ortsgemeinderat Hambuch traf sich am 01.12.2020 zur 14. Ortsgemeinderatssitzung in der Probstei.