gemäß § 2 Abs. 1 Baugesetzbuch (BauGB) in der Fassung der Bekanntmachung vom 03. November 2017 (BGBl. I S. 3634)
In der öffentlichen Sitzung des Ortsgemeinderates Hambuch am 06.02.2024 hat der Ortsgemeinderat beschlossen, den Bebauungsplan „Oberes Pommerbachtal“ teilweise aufzuheben.
Von Seiten eines Investors ist die Errichtung einer Freiflächen-Fotovoltaikanlage innerhalb eines Abstandes bis zu 200 m von der Autobahn A 48 beabsichtigt. Grundsätzlich handelt es sich hierbei um ein sogenanntes privilegierte Bauvorhaben nach § 35 Abs. 1 Nr. 8b Baugesetzbuch. Im Bereich der geplanten Freiflächen-Fotovoltaikanlage besteht der Bebauungsplan „Oberes Pommerbachtal“. Dieser steht der Privilegierung des Vorhabens und somit einer Genehmigung entgegen. Damit das Bauvorhaben genehmigt werden kann, ist zunächst die (Teil-)Aufhebung des Bebauungsplanes erforderlich.
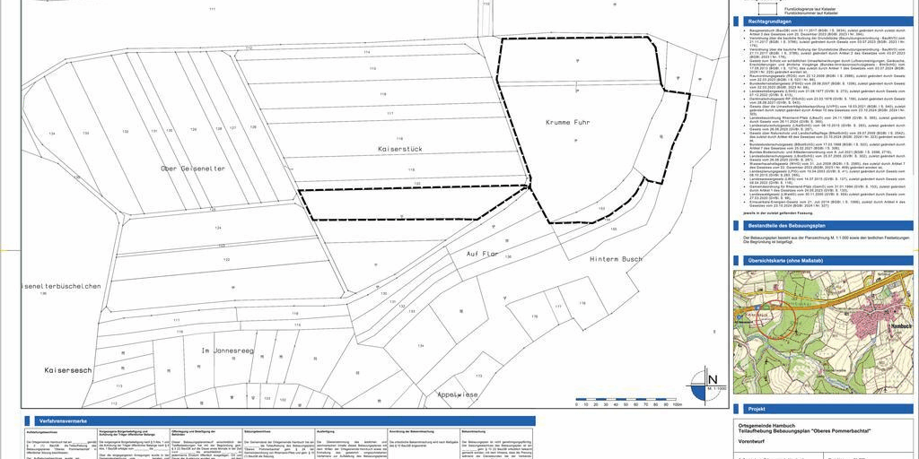
Der Aufhebungsbereich ist aus dem nachstehend abgedruckten Plan ersichtlich.
Hambuch, den 20.11.2025
Ortsgemeinde Hambuch
Matthias Hetger, Ortsbürgermeister
Bekanntmachung
Bauleitplanung der Ortsgemeinde Hambuch Teil-Aufhebung des Bebauungsplanes „Oberes Pommerbachtal“
In der öffentlichen Sitzung des Ortsgemeinderates Hambuch am 06.02.2024 hat der Ortsgemeinderat beschlossen, den Bebauungsplan „Oberes Pommerbachtal“ teilweise aufzuheben.
In der Sitzung am 02.09.2025 hat der Ortsgemeinderat dem vom Planungsbüro WeSt-Stadtplaner, Ulmen, erstellten Entwurf zur teilweisen Aufhebung des Bebauungsplanes „Oberes Pommerbachtal“ zugestimmt.
Gleichzeitig wurde die Verwaltung beauftragt, die Beteiligungsverfahren nach § 3 Abs. 1 Baugesetzbuch (BauGB) und § 4 Abs. 1 BauGB einzuleiten.
Mit der teilweisen Aufhebung des Bebauungsplanes soll die Errichtung einer Freiflächen-Fotovoltaikanlage in dem privilegierten Bereich von 200 m zur Autobahn A 48 ermöglicht werden.
Gemäß § 3 Abs. 1 BauGB ist die Öffentlichkeit möglichst frühzeitig an der Planung zu beteiligen. Die Abgrenzung des Aufhebungsbereiches ist aus dem nachfolgend abgedruckten Plan ersichtlich.
Der Entwurf zur teilweisen Aufhebung des Bebauungsplanes „Oberes Pommerbachtal“, die Begründung einschl. Umweltbericht sowie der Fachbeitrag Naturschutz einschl. artenschutzrechtlicher Potenzialanalyse sowie avifaunistischer Untersuchung können bis einschließlich Dienstag, 06.01.2026 bei der Verbandsgemeindeverwaltung Kaisersesch, Am Römerturm 2, 56759 Kaisersesch, Zimmer D-E01, zu folgenden Zeiten
Montag: 08:00 Uhr bis 12:30 Uhr, 14:00 Uhr bis 16:00 Uhr
Dienstag: 08:00 Uhr bis 12:30 Uhr
Mittwoch: 08:00 Uhr bis 12:30 Uhr
Donnerstag: 08:00 Uhr bis 12:00 Uhr, 14:00 Uhr bis 18:00 Uhr
Freitag: 08:00 Uhr bis 12:00 Uhr
eingesehen werden.
Zusätzlich sind der Inhalt der Bekanntmachung nach § 3 Absatz 1 BauGB und die ausliegenden Unterlagen auch auf der Website der Verbandsgemeinde Kaisersesch unter www.kaisersesch.de (- Aktuelles / Amtliche Bekanntmachungen) unter dem Artikel „Ortsgemeinde Hambuch – Teilweise Aufhebung des Bebauungsplanes „Oberes Pommerbachtal“ einsehbar.
Die Aufhebung bezieht sich auf die Grundstücke in der Gemarkung Hambuch Flur 1, Flurstücke: 141/2 tlw. (soweit innerhalb des 200 m-Abstandes zur A 48), 150/1, 150/2, 150/3, 153 und 431/152.
Wir geben hiermit Gelegenheit zur Äußerung und Erörterung der Planung.
Hambuch, 20.11.2025
Ortsgemeinde Hambuch
Matthias Hetger, Ortsbürgermeister






